今年第23号台风"娜基莉"生成,双台风 超强台风!秋台持续发飙!23号娜基莉&22号夏浪,..

今年第23号台风

----- 广告-----

今年第23号台风

----- 广告-----

----- 广告 -----

今年第23号台风

----- 广告,也是一种资讯-----

秋台风持续发威中!今年还有登陆我国的吗?

正文字数:7150

预计阅读时间:8分钟以上

双台风!

今年袭击我国的台风又多又狠!

刚刚过去的强台风

麦德姆、桦加沙、博罗依

多地阵风更上达17级

重创了华南地区水产养殖业

养殖户破产连连!

目前秋台风持续发威中

又有双台风生成!

22号超强台风“夏浪”

23号台风台风“娜基莉”

未来会登陆我国吗?

超强台风“夏浪”

↓ ↓ ↓

今年第23号台风

葵花-9号卫星监测到的台风“夏浪”云图动画(时间段:10月8日02时00分至10月8日09时00分)

23号台风台风“娜基莉”

↓ ↓ ↓

今年第23号台风

今年第23号台风

又有新台风!今年第23号台风“娜基莉”生成

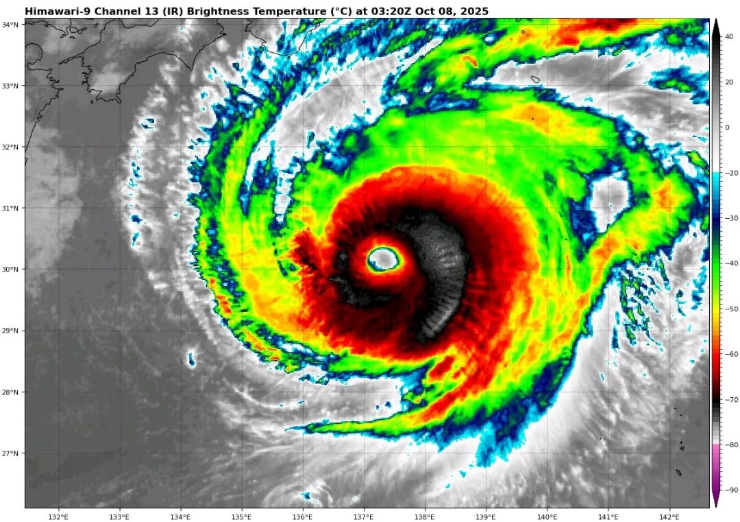
今天(10月8日)下午,今年第23号台风“娜基莉”生成,今天下午14时,其中心位于琉球群岛那霸市东偏南方向约1320公里的西北太平洋洋面上,就是北纬19.3度、东经138.2度,中心附近最大风力有8级(18米/秒),中心最低气压为1002百帕。

预计,“娜基莉”将以每小时25-30公里的速度向北偏西方向移动,强度缓慢增强。

葵花-9号卫星监测到的台风“娜基莉”云图动画(时间段:10月8日02时00分至10月8日09时00分)

22号超强台风“夏浪”向北偏东方向移动

今年第22号台风“夏浪”(超强台风级)的中心今天(8日)上午8点钟位于日本九州岛东偏南方向约690公里的西北太平洋洋面上,就是北纬29.5度、东经137.0度,中心附近最大风力有16级(55米/秒),中心最低气压为930百帕,七级风圈半径220-360公里,十级风圈半径110-140公里,十二级风圈半径50-70公里。

今年第23号台风

今年第23号台风

今年第23号台风

预计,“夏浪”将以每小时20-25公里的速度向北偏东方向移动,强度变化不大,9日白天逐渐转向偏东方向移动,尔后强度逐渐减弱。

“娜基莉”会登陆我国吗?

对于95w的动态目前还是存在一定争议的,首先GFS持续的不看好他,而欧盟人工智能也是保持观望态度,直到最新几期预报中,才看好它的命名!

路径上,大概率也是跟夏浪差不多,北上转向,不过它的转向点有可能会离我国近一点!但是从集合路径上看,这个娜基莉并没有排除登陆我国沿海的可能!上面这张图中显示,还有几个线条,认为它将进入我国浙江沿海!

中央气象台10月8日10时继续发布暴雨蓝色预警:

预计,10月8日14时至9日14时,内蒙古河套地区、陕西北部、山西中北部、河北大部、山东西北部等地部分地区有大到暴雨,其中,陕西北部、山西西北部局地有大暴雨(100~110毫米)。上述部分地区伴有短时强降水(最大小时降雨量20~30毫米,局地可超过40毫米),局地有雷暴大风等强对流天气。

防御指南:

1、政府及相关部门按照职责做好防暴雨准备工作;

2、学校、幼儿园采取适当措施,保证学生和幼儿安全;

3、驾驶人员应当注意道路积水和交通阻塞,确保安全;

4、检查城市、农田、鱼塘排水系统,做好排涝准备。

国家特色淡水鱼产业技术体系

应对暴雨洪灾策略

广东、广西、海南、福建等沿海地区即将进入台风高发季节及汛期,雨季持续时间长;需注意个别月份雨量过多可能引发洪涝灾害。常伴随气温波动,早晚温差大,影响水体温度稳定性。暴雨可能带来大量泥沙,影响水质。

对水产养殖的影响:水质变化大,易引发水产养殖动物应激反应。病原生物活跃,易导致水产养殖病害发生和传播。饲料投喂和养殖管理难度增加。

暴雨前准备

1.池塘检查与维护

检查池塘堤坝、进排水口、增氧设施等是否完好,确保无渗漏、无破损,确保能应对暴雨冲击。清理池塘周围的杂物,防止堵塞排水口。对池塘进行必要的加今年固和维修,确保其能承受暴雨带来的冲击。

2.水质调控

提前检测池塘水质,了解水体的pH值、溶氧量、氨氮等关键指标。根据水质情况,适时进行换水或使用水质调节剂,保持水体稳定与适宜。

3.饲料管理

根据养殖种类和生长阶段,合理安排饲料投喂量和频率。选择优质饲料和避免过度投喂,减少残饵对水质的影响。

4.应急物资储备

储备必要的消毒剂、粒粒氧、抗菌药物、水质调节剂等物资。准备应急电源、抽水泵等设备,确保在暴雨期间能正常使用。

暴雨期间注意事项

1.实时监控与巡查

密切关注天气预报和池塘情况,及时调整养殖管理措施。加强池塘巡查,特别是夜间和清晨,及时发现并处理异常情况。

2.防洪与排水

在池塘周围设置防洪设施,防止雨水倒灌。根据池塘水位情况,及时开启排水口,降低池塘水位。

3.增氧与水质维护

加强增氧设备的使用,确保水体溶氧量充足。定期检测水质,及时调节pH值、氨氮等指标。

4.防止逃逸与损伤

加固池塘围堰和防护网,防止养殖生物逃逸或被暴雨冲走。注意保护养殖设备,防止其被风雨损坏。

暴雨后病害防控

1.全面消毒与杀菌

使用合适的消毒剂(如漂白粉、生石灰等)对池塘进行全面消毒,杀灭病原菌。注意消毒剂的种类、浓度和使用方法,避免对养殖动物造成损害。

2.水质调控与恢复

暴雨后池塘水质可能受到严重影响,需及时换水或添加水质调节剂。监测水体的各项指标,逐步调整至适宜范围。

3.病害诊断与治疗

对出现异常的水产养殖动物进行及时诊断,明确病因。根据病害类型,选用合适的抗菌、抗病毒药物进行治疗。注意药物的用量和使用周期,避免产生药残和耐药性。

4.饲料投喂与管理

暴雨后养殖动物可能受到不同程度的应激,需适当减少饲料投喂量。可在饲料中添加三黄粉、大蒜素等抗菌中草药,用于预防因病菌引起的肠炎病和出血病。可在饲料中添加复合维生素、免疫多糖等免疫增强剂,提高养殖动物自身免疫力。随着养殖动物的恢复和水质的改善,逐渐恢复正常投喂。

国家海水鱼体系

水产养殖防控台风指南

网箱养殖台风防控指南

台风来临前

(1)密切关注台风动态,提前做好防御安排

气象台根据台风可能产生的影响,在预报时采用“消息”“警报”和“紧急警报”三种形式向社会发布。同时,按台风可能造成的影响程度,由轻到重向社会发布蓝、黄、橙、红四色台风预警信号。海水鱼网箱养殖从业者应密切关注台风预警动态,及时采取预防措施。

(2)网箱框架检查、加固

①检查箱体上夜间警示装置可否正常工作,避免网箱因强风移位后夜间与船只发生碰撞。

②查看网箱框架各部位是否完好,有隐患的部位要及时修理加固;及时清除框架上的附着物,避免网衣因强浪流漂移接触而磨破网衣逃鱼。对网箱框架锚泊系缚受力点位置进行必要加固,并对网箱单体框架间缓冲装置进行检查固定,提高台风行经期间网箱结构安全。

(3)锚泊系统检查、加固

①缆绳是否有断股或磨损现象、附着物是否已影响缆绳的正常使用,必要时可在可能的迎风面增加相对较长锚固。

②检查缆绳缓冲沉子或浮桶是否完好且绑系牢固,并根据极端海况的波高情况,等距离加固、加长所有固定锚绳,避免锚绳与网箱框架无缓冲“硬拉”。

③连接贯通不同方向的缆绳,使箱体与缆绳成为一个整体,限制箱体形变,避免箱体因强风大浪变形而蹦塌或折断。

④检查浮筒数量及是否完好无裂纹,注意浮筒连接卸扣套环是否有损伤或松脱。

(4)网衣系统检查、加固

①更换附着生物较多的网衣,检查网衣有无破损及绑系受力是否均衡。

②检查网衣沉子数量且均匀分布完好。

③加装并系紧盖网。

(5)养殖鱼抗应激及防病处理

①及时关注台风动态信息,在台风来临前7天采用投喂免疫多糖、复合维生素、中成药制剂等进行养殖鱼类抗应激处理。

②同步使用吊挂碘、氯制剂等方式,对网箱及养殖鱼类进行防病处理,降低台风行径时损伤感染。

(6)附属设施检查及人员撤离

检查完网箱养殖系统后,重点检查网箱管理房设施结构,如门窗、顶装太阳能、风力电机等外置设备,同时加固管理房浮子及碰撞缓冲设备;整理饲料、药物等养殖物资;抗风能力较差的管理平台等附属设施要及时拖回避风港固锚,养殖工作人员必须上岸避风,人员撤离时带走液化石油气等易燃易爆物品。

*台风期间,严禁人员、船只出海作业,直至台风警报解除,且海况条件符合海上作业要求。

台风过后

(1)进行网箱养殖现场安全检查,及时排除现场存在的安全隐患。

(2)检查网箱框架、网衣及锚泊系统有无破损,确保现存鱼类安全。

(3)清捞养殖区域内杂物,积极组织养殖现场复工及设施维修。

(4)及时吊挂和泼洒碘、氯等消毒剂,减少继发感染,必要时根据养殖鱼类感染情况,选择合适药物进行治疗。

(5)无害化清除并掩埋腐烂变质的死鱼,减轻对养殖环境的影响。

(6)可采用投饵采食量来估算存鱼数量,合理安排后续养殖投喂。

(7)加强日常养殖管理,严防各种鱼类病害发生。

(8)在做好以上防风工作的同时,要做好风后持续大暴雨防范工作。

(9)总结经验,吸取教训,对在台风中的损失做正确的估计,强化下一步养殖工作注意事项。

围栏养殖台风防控指南

台风来临前

(1)密切关注台风动态,提前做好防御安排。气象台根据台风可能产生的影响,在预报时采用“消息”“警报”和“紧急警报”三种形式向社会发布。同时,按台风可能造成的影响程度,由轻到重向社会发布蓝、黄、橙、红四色台风预警信号。海水鱼围栏养殖从业者应密切关注台风预警动态,及时采取预防措施。

(2)围栏柱桩与围栏内辅助设施检查、加固。清理柱桩上的附着物和柱桩间的杂物,移出或加固围栏设施内的辅助网箱、水面投饵圈拦等辅助设施,避免网衣与漂移物接触而造成破网逃鱼。

(3)网衣系统检查、加固。检查围栏网衣整体连接是否牢靠,着重检查网衣拼接处和网衣系统的横向力纲与纵向力纲,检查是否需要做加固处理。

(4)养殖鱼抗应激及防病处理。及时关注台风动态信息,在台风来临前7天采用投喂免疫多糖、复合维生素、中成药制剂等进行养殖鱼类抗应激处理。同步使用吊挂碘、氯制剂等方式,对养殖鱼类进行防病处理,降低台风行径时损伤感染。

(5)附属设施检查及人员撤离。检查完围栏养殖系统后,重点检查辅助平台设施,如门窗、顶装太阳能、风力电机等外置设备;整理饲料、药物等养殖物资;抗风能力较差的可移动工作船或平台等附属设施要及时拖回避风港固锚,养殖工作人员必须上岸避风,人员撤离时带走液化石油气等易燃易爆物品。

*台风期间,严禁人员、船只出海作业,直至台风警报解除,且海况条件符合海上作业要求。

台风来临后

(1)检查围栏设施网衣有无破损,如有破损应及时修补,防止造成更多的养殖鱼逃逸,及时排除逃鱼隐患。积极组织养殖现场复工及设施维修。

(2)对网衣与柱桩连接处进行安全检查,排除每根柱桩位置存在的安全隐患。

(3)及时清理围栏周边及网衣内外的杂物,避免对网衣造成二次损伤。

(4)全面检查围栏网衣横向力纲和纵向力纲受损情况,如有损坏立即进行加固或者更换纲绳。

(5)及时对水下网衣及网衣与海底固连处进行排摸,能见度良好时可派潜水员进行检查,如发现破损或松动,立即进行修补。

(6)对于死鱼、病鱼等要立即捞出,并集中进行无害化处理,减轻对养殖环境的影响。

(7)加强养殖管理,注意消毒杀菌,严防台风后鱼类病害发生。必要时,可根据养殖鱼类感染情况,选择合适药物进行治疗。

(8)记录养殖设施内死亡鱼的数量、规格以及围栏受损部位等情况,及时拍照并做好记录,如有养殖投保,可联系保险公司定损。

池塘养殖台风防控指南

台风灾害对海水鱼池塘养殖的影响主要体现在:台风伴随强降水使水位猛涨,造成洪涝灾害和水质环境因子突变;设施受损,破堤跑鱼;停电缺氧等。

台风来临前

1.密切关注台风动态,提前做好防御安排。气象台根据台风可能产生的影响,在预报时采用“消息”“警报”和“紧急警报”三种形式向社会发布。同时,按台风可能造成的影响程度,由轻到重向社会发布蓝、黄、橙、红四色台风预警信号。海水鱼池塘养殖从业者应密切关注台风预警动态,及时采取预防措施。

2.台风到来前,饲料要适时减量投喂或停喂,减少养殖鱼类及养殖池塘环境负荷。

3.适当预降池塘水位,防止风暴增水造成逃鱼和窜塘,必要时要加装防逃逸围网。

4.全面检查塘基的可靠性。依据池塘实际情况,判断是否需要加高或加固塘基,提防塘基溃塌。

5.做好增氧设备的维护,检查电缆、增氧机等设备归置是否妥当。

6.依据台风预报情况,对池塘周围供电设施(电杆、电线、配电室、应急发电室等)做适当的加固安全处理。

7.塘口配备原塘电力负荷一半以上功率的发电机,且备足三天燃料。

8.提前准备固体增氧剂、粗盐、抗应激制剂、沙袋等应急物资。

9.检查房屋是否有安全隐患,放置饲料、药品的库房是否坚固和充分防水。

10.遇超强台风,请及时撤离至安全区域躲避,做好防台风安全措施。

台风过后

1.台风过后,对池塘塘基进行安全检查,及时排除逃鱼隐患。

2.对池塘配套设施进行安全检查,排除复产现场存在的安全隐患。内容包括:机械设备的配电箱有否水淹情况、电线线路连接是否正常、电器设备是否有损失、现场临时供电设施及电缆是否能进行正常工作等,如有损坏要有专业人员修复或更换,确保供电系统可安全正常使用。

3.加强池塘水环境监测,依据需要及时开启增氧机,调控溶解氧、盐度、pH值、透明度等主要水质指标处于正常范围。

4.灾后死鱼病鱼、受风卷起的水草和杂物要立即捞出,并进行无害化处理。

5.注意消毒杀菌,预防台风后的鱼病。池塘消毒尽量采用低刺激消毒剂,如用活性碘、水产用二溴海因等,进行全池泼洒。

6.台风带来的降雨有一定的持续性,要做好风后持续大暴雨的防范工作。

7.记录池塘中死亡鱼的数量、规格,结合复产后鱼的摄食量来估算存鱼数量,合理安排后续养殖生产(投饵、并塘或补苗)。

8.总结经验,吸取教训,对在台风造成的损失做正确的估计,强化下一步养殖工作注意事项。

工厂化养殖台风防控指南

台风来临前

1.密切关注台风动态,提前做好防御安排

气象台根据台风可能产生的影响,在预报时采用“消息”“警报”和“紧急警报”三种形式向社会发布。同时,按台风可能造成的影响程度,由轻到重向社会发布蓝、黄、橙、红四色台风预警信号。海水鱼工厂化养殖从业者应密切关注台风预警动态,及时采取预防措施。

2.养殖车间设施检查、加固

(1)养殖车间门、窗应检查安装是否牢固,并在台风来临前关闭,玻璃窗可用胶带“米”字粘接,防止玻璃破碎后产生飞溅。

(2)检查养殖车间、温室屋顶是否有松动、破损;提前对养殖车间、温室屋顶进行压载或用大网目网片罩压,防止台风过大掀掉屋面。查看屋面集雨槽、屋面排水槽和落水管是否堵塞等问题,并及时加固、填补和疏通。

(3)检查养殖车间屋顶太阳能发电板、蓄热管等配套设施是否安装牢固,并及时加固。

(4)低洼地区应防止车间内积水,可在门口安放挡水板或堆砌沙包,封堵排水管沟,避免倒灌。

(5)全面检查电气设备接地、漏电保护、等电位联结等是否正常,提醒养殖工作人员可能造成的触电风险。

(6)饲料间、药品房、配电间、控制间等应能充分防水。

(7)检查场区排涝设施,确保排水沟和管道通畅,对于有大型蓄水池的养殖场,应提前减少存水量。

(8)室外车辆、动植物、工具、仪器设备等应提前转移至安全区域,避免倒塌、砸轧等情况发生。

(9)依据台风预报情况,对电线杆、室外电缆、摄像头等做适当的防护加固。

3.应急措施准备工作

(1)应急物品准备:包括雨伞、雨衣、手电筒、收音机、食物、饮用水、常用药品、防寒衣物等,预先购置排涝水泵等设施装备。

(2)检查应急备用发电机应能至少保证所有养殖池曝气风机正常工作,储油量应至少满足24h应急发电需求。

(3)检查液氧储罐,应至少满足24h应急使用需求;建议储备过碳酸钠(粒粒氧)应急备用。

防灾期间的养殖生产管理

1.适时减量投喂或停喂,避免台风长时间影响正常生产。

2.应关注工厂化养殖用水的水温、盐度、pH变化,采取有效措施避免养殖生物应急。

3.严禁人员在脚手架、电线杆、树木、广告牌等地方停留躲避。

台风后防灾减灾要点与措施

1.及时查看水源、养殖车间、鱼池、设施设备等是否正常,及时排除现场存在的安全隐患,发现问题,尽快组织维修。

2.受淹车间应尽快疏通排水管道,排出积水。

3.清捞并记录死亡鱼的数量、规格,无害化清除并掩埋腐烂变质的死鱼,减轻对养殖环境的影响。

4.如灾害期间出现非正常养殖生产状态(停电、停气、停水、水质变差等),需对养殖动物进行抗应激处理,并视情况对养殖动物及环境进行常规消毒处理,并根据摄食情况逐渐恢复正常投饲,合理安排后续养殖生产。

5.在做好以上工作的同时,积极做好风后持续大暴雨防范工作。

6.总结经验,吸取教训,对在台风中的损失做正确的估计,及时补充恢复必要的应急物资,强化下一步养殖工作注意事项。

大宗淡水鱼体系

提醒养殖户做好台风后工作

台风对水产养殖的影响主要有以下几个方面:

台风带来的暴雨和大风可能会导致池塘溃堤、水位上涨、水体混浊、水质恶化等问题,影响养殖动物的生长和健康。

台风过后,水温、pH值、盐度等水质参数会有较大幅度变化,造成养殖动物的应激反应,降低免疫力,增加病害的发生风险。

台风过后,池塘底部的有机质和有害物质会增加,导致溶解氧不足,污染水体,影响养殖动物的呼吸和代谢。

台风过后,气温回升快,进入水体的细菌和病毒繁殖旺盛,加上养殖动物体质下降,容易感染细菌性和寄生虫性疾病。

为了减少台风对水产养殖的影响,养殖户应该做好以下几点:

及时关注天气预报和预警信息,提前做好防范措施,如加固塘坎、检查线路、备足柴油、降低水位、减少投喂量等。

台风过后,及时排除池塘里的淤泥、死鱼、水草等杂物,恢复正常增氧,调整水质参数,消毒杀菌,防止水体污染和病原传播。

台风过后,适当延长增氧时间,投放一些增氧剂和解毒剂,抑制有害物质的生成,稳定水色。

台风过后,逐渐恢复正常投喂量,不要一下子增加过多,避免消化负担。在饲料中添加一些抗应激、抗病毒、改善肠道健康的产品,提高养殖动物的免疫力和抵抗力。

及时排换水,不可一次将池水排出,应通过几次换水逐渐将池塘pH值、盐度调到正常生理范围之内。

换水之后,对池塘水进行一次全面的消毒处理,杀灭水体中的各种细菌和病毒。

及时泼洒抗应激产品,减少养殖鱼虾因温度和盐度骤降而造成的应激反应和损耗。

及时检测水质指标,稳定水体,对症处理,减少病害的发生。

抓紧修复被洪水冲毁的塘坎和各种养殖设施,加固坝坎,及时清除池塘里过多的淤泥。

及时抢修供电线路及增氧设备,尽早恢复正常增氧。

提醒沿海地区养殖户朋友

密切关注台风动向,

提前做好各种防范措施,

祝大家一切平安、顺利!

本期编辑/ 张红

点击下方名片即可关注【水产前沿】

右上角星标☆关注,可确保及时收到推送文章

↓↓↓

一起探讨、交流,共同进步

★水产前沿专业为您推送水产动保行业深度前沿的、极具价值的各种资讯

★欢迎扫码加小编企业微信,一起探讨!

★扫码时,请注明:姓名 所在地区 品种 行业身份(如鱼中、流通商、养殖户、经销商)

聚焦

回顾

叶元土教授主编

帮助技术人员和管理者

掌握科学饲养的诀窍

有效提高鱼类生长速度和存活率

转载声明

本文转自【中央气象台、中国天气、特色淡水鱼产业技术体系、国家海水鱼体系、David心在云端】等。

新闻报料、线索提供,联系:news@fishfirst.cn

----- 广告,也是一种资讯-----

今年第23号台风

今年第23号台风

版权声明:本站内容由互联网用户投稿自发贡献或转载于互联网,文章观点仅代表作者本人。本站仅提供信息存储空间服务,不拥有所有权,不承担相关法律责任。如发现本站有涉嫌抄袭侵权/违法违规的内容, 请发送邮件至2024tuiguang@gmail.com举报,一经查实,本站将立刻删除。

合作:2024tuiguang@gmail.com